Sachsenhausen
Sachsenhausen mit seinen rund 520 Einwohnern liegt auf der Höhe, eingerahmt von Feldern und Streuobstwiesen.
Näheres erfahren Sie auf der Homepage der Ortschaft Sachsenhausen.
Infrastruktur
- Spielplätze
- Kindergarten im Ort
- Grundschule in Nassig (Bustransfer)
- Busverbindung nach Wertheim
- Anschlussstelle an die Bundesautobahn A3: Nr. 66 "Wertheim/Lengfurt" in
ca. 13 km - DSL bis 1.000 Mbit/s
- Lebensmittelnahversorgung:
Biolandhof im Ort, mobile Bäckerei, weitere Lebensmittel-Einzelhandelsgeschäfte in ca. 4 km - Medizinische Versorgung:
Krankenhaus und verschiedene Allgemeinmediziner/Fachärzte in ca. 7 km Entfernung - Wanderwege auf der Höhe
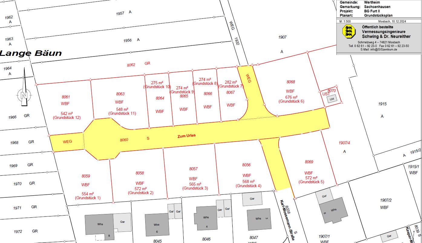
Baugebiet "Furt II"
Die Erschließungsarbeiten für das Wohnbaugebiet "Furt II" mit 12 Bauplätzen sind abgeschlossen. Der Quadratmeterpreis beträgt 191 €.
Im Kaufpreis sind die erstmaligen Kosten für die öffentlichen Erschließungsanlagen, sowie der Abwasserbeitrag enthalten. Die Hausanschlüsse für Wasser und Abwasser sind bis ca. 1 m ins Baugrundstück verlegt. Anschlusskosten für Wasser und Strom sind mit den Versorgungsträgern gesondert abzurechnen. Weitere Informationen hierzu erhalten Sie auf der Homepage der Stadtwerke Wertheim GmbH.
Bauplätze
- 1 = reserviert
- 2 = 572 m² = 109.252,00 €
- 3 = reserviert
- 4 = 568 m² = 108.488,00 €
- 5 = reserviert
- 6 = Mehrfamilienbauplatz = 676 m² = 129.116,00 €
- 7 = Doppel- oder Reihenhausbauplatz = 282 m² = 53.862,00 €
- 8 = Doppel- oder Reihenhausbauplatz = 274 m² = 52.334,00 €
- 9 = Doppel- oder Reihenhausbauplatz = 274 m² = 52.334,00 €
- 10 = Doppel- oder Reihenhausbauplatz = 275 m² = 52.525,00 €
- 11 = 548 m² = 104.668,00 €
- 12 = verkauft
Informationen zum Bebauungsplan erhalten Sie hier:
Zeichnerischer Teil (PDF | 865 KB)
Schriftlicher Teil (PDF | 329 KB)


